[ 부동산 경매 절대 입찰 불가 물건 ]

경매 물건을 찾기 위해서는 법원 사이트도 좋지만 유료사이트가 훨씬 편리하다. 그래서 많은 사람들이 돈을 내고 이용하고 있다. 대표적으로 지지옥션, 굿옥션 등이 있다. 여기서 물건을 분석하고 권리분석을 전부 끝낸 다음 마지막으로 꼭 확인해야 하는 부분이 있다. 이 확인해야 하는 부분에서 문제가 발생할 경우에는 나는 그냥 해당 물건은 보내준다.
첫 번째로 부동산의 좌우가 바뀌었는지 확인하는 것이다. 부동산의 좌우가 바뀌었다고 하는 것이 말도 안 된다고 생각할 수 있지만 빌라에서는 생각보다 흔하게 일어난다. 건축을 할 때 마지막에 동호수의 스티커를 문에 붙인다. 이때 그냥 잘못 붙이는 것이다. 이런 경우 101동에 살고 있지만 실제로는 102동에 살고 있는 것이다. 이 물건을 경매로 낙찰받는다면 먼저 101동과 102동의 위치를 변경해야 한다고 고지해서 변경하거나 소송을 해야 한다. 소송의 기간이 길어질 뿐만 아니라 예상하지 못한 스트레스로 투자에 많은 영향을 준다.
두 번째로 대지권의 표시와 대지권의 비율을 확인해야 한다. 많은 분들이 아파트보다 대지권이 많은 빌라나 다가구 및 다세대를 투자하는 이유 중에는 재개발이라는 호재가 큰 비중을 차지한다. 그런데 내가 매수하거나 경매로 낙찰받은 물건의 대지지분이 등기부등본에서 다르게 표시되어 있다면 재개발에서 분양권을 받지 못하는 악재가 발생하게 된다.
세 번째로는 빌라에서 심심치 않게 발생할 수 있는 물건이다. 이 물건은 특히 겉으로는 굉장히 멀끔한 인상을 풍기기 때문에 더욱 조심해야 한다. 바로 근린생활시설이다. 대부분 필로티 구조의 빌라에서 존재하며 타입이 상가(근린)로 표시되어 있다. 이런 집은 집이 아니고 상가이다. 그래서 집으로 사용할 경우 원상회복의무와 이행강제금이 지속적으로 발생하게 되는 물건이다. 이런 물건을 낙찰받는 순간 정말 어마어마한 후폭풍이 찾아온다.
예제로 하나씩 알아보겠다.
[ 첫 번째 좌우가 바뀐 물건 ]
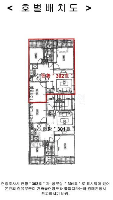
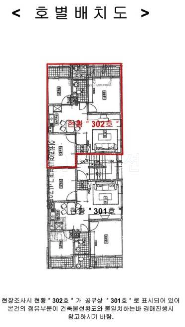
예제는 "부천 7계 2017-62820" 이다. 겉으로 보면 크게 문제가 되어 보이지 않는다. 해당 물건은 대항력 있는 임차인이 존재하며 직접 임장해서 물건을 알아봐야 하는 물건이다. 그래서 물건을 임장해서 확인을 하는데 확인한 것과 다르게 집의 호수가 다른 것 같은 느낌을 받는다. 그래서 평소에는 잘 보지 않는 문서들을 확인할 필요성을 느꼈다.

대부분 좌우 호수가 변경된 물건은 감정평가서에 기록되곤 한다. 감정평가서를 보면 그 밖의 사항에 물건의 호수가 변경되어 있다고 표시된다. 이런 물건은 소송까지 가서 나의 투자 시간에 악영향을 끼치게 된다. 사진이나 감정평가서를 보면서 실제 물건의 호수가 정상인지를 꼭 확인해야 한다.


[ 두 번째 대지권의 표시와 대지권의 비율 ]
등기사항 전부증명서를 보면 토지 내역을 확인할 수 있다. 여기에 면적 부분이 있는데 이 면적이 대지권 비율에서 값이 같은지를 확인한다. 만약 이 부분이 다르다면 나의 토지의 크기는 알고 있는 크기보다 작을 수 있다. 혹은 더 클 수 도 있다. 과거에 건물이 지어질 때는 전산화 과정이 되어있지 않아서 이렇게 미흡한 부분이 존재한다.
이렇게 면적과 대지권 비율이 있는 부동산은 대부분 다세대 물건들이다. 다세대 물건은 하나의 토지에 각각 다른 주인들이 나눠져 있다. 그래서 비율이라는 것이 존재하고 그 비율로 대지가 확정된다. 5평 이상이어야 재개발될 때 입주권을 얻을 수 있게 되고 평수가 많을수록 돌려받을 수 있는 금액도 커진다. 꼭 확인하고 투자해야 하는 부분이다. 만약 면적이 다르다면 계산을 통해 실제 투자해도 되는 물건인지를 확인하는 것이 필수이다.

[ 세 번째 빌라 안의 근린생활시설 ]
빌라 안에는 근린생활시설이 존재할 수 있다. 거주공간은 주차공간이 필요한데 근린생활시설은 주차공간이 필요 없다. 그래서 간혹 빌라를 건축하는 곳에서는 건물을 높게 짓기 위해 근린생활시설을 저층에 포함시킨다. 이 물건이 만약에 상가로 사용된다면 문제가 없겠지만 주거용으로 사용한다면 원상회복의무와 이행강제금을 발생된다. 원상회복의무는 주거용을 상업용으로 변경해야 하는 의무이며 이행강제금은 주거용을 상업용으로 변경하지 않은 것에 대한 벌금이다. 또한 낙찰 후 매매할 때 상가이므로 부가세 10%가 발생한다.


매각물건명세서를 확인하면 비고란에 빌라이지만 근린생활시설이라는 점이 명시되어 있다. 또한 감정평가서에서도 근린생활시설이라는 점이 명시되어 있다. 근린생활시설은 분양 때부터 가격이 낮다. 다른 집에 비해 10% ~ 20% 낮에 분양된다. 그 이유는 바로 위에서도 언급했지만 주차공간이 없기 때문이다. 그래서 만약에 이 부동산에서 주차를 한다면 주변 입주민들의 반발이 끊이질 않을 것이다. 반드시 피해야 하는 물건이다.


'동굴 속 정보' 카테고리의 다른 글
| 소고기 맛집 아르헨티나, 바릴로체 (0) | 2020.08.04 |
|---|---|
| 경기도 남부 가볼만한 카페 3곳 (0) | 2020.07.20 |
| 부동산 경매 기초, 권리분석 3단계 (0) | 2020.07.16 |
| 부동산 경매 기초, 권리분석 2단계 (0) | 2020.07.13 |
| 부동산 경매 기초, 권리분석 1단계 (0) | 2020.07.08 |